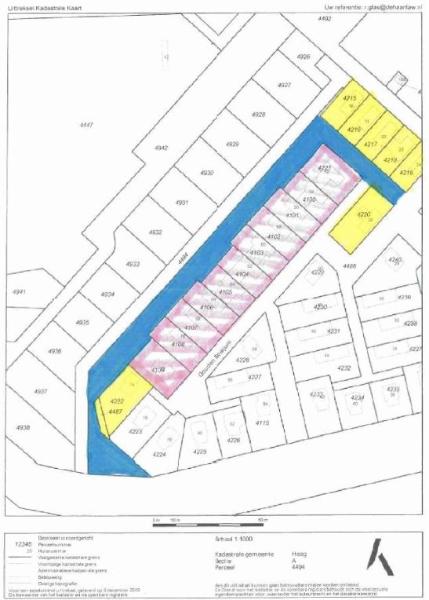
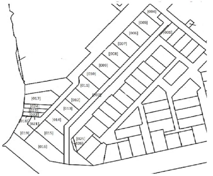
HR, 15-11-2024, nr. 23/02572